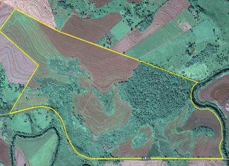
Produtor pode cadastrar representante na plataforma do CAR
Procedimento permite que técnico ou prestador de serviço tenha acesso apenas aos dados necessários do proprietário para efetuar o CAR
A partir de agora, produtores rurais podem cadastrar um representante no sistema do Cadastro Ambiental...
Edição 105 da Revista Procampo circula em todo ES
A 105ª edição da Revista Procampo, pioneira no segmento agropecuário capixaba e referência em comunicação rural, é distribuída em todo o Espírito Santo e ao Sul da Bahia
É com grande prazer que apresentamos a 105ª...
Brasil se destaca em congresso global sobre bioinsumos e agricultura sustentável
O evento acontece de 23 a 25 de abril, na Índia, e reunirá representantes de mais de 50 países
O setor agrícola brasileiro terá protagonismo no 6º BioAgTech World Congress (BAW 2025), o principal congresso internacional...
Às vésperas da Páscoa, cacau encarece 130% e pressiona mercado de chocolates no Brasil
Produção mundial de cacau foi fortemente impactada por condições climáticas
A menor oferta global de cacau, aliada ao consumo resiliente, impulsionou os preços da commodity na última safra, refletindo diretamente no mercado de chocolates. Segundo...
Agronegócio emprega 28,2 milhões de pessoas em 2024 e representa 26% das ocupações do...
O impulso veio do aumento no contingente de pessoas atuando em insumos, nas agroindústrias e nos agrosserviços
O agronegócio brasileiro empregou 28,2 milhões de pessoas em 2024, aumento de 1% (ou de aproximadamente 278 mil...
Comissão de Sementes e Mudas é oficialmente instalada no ES
Objetivo do órgão colegiado é fortalecer a cadeia produtiva de sementes e mudas no estado
Na última quinta-feira (27), foi realizada a reunião de instalação da Comissão de Sementes e Mudas (CSM) do Estado do...
Portaria suspende eventos e criação de aves ao ar livre em prevenção à gripe...
Em portaria publicada no Diário Oficial da União na quarta-feira (27/03), o Ministério da Agricultura e Pecuária (Mapa) estabelece medidas preventivas para mitigar o risco de ingresso e disseminação da influenza aviária de alta...
Confea avança na regulamentação do Receituário Agronômico
Medida estabelece diretrizes atualizadas para a prescrição, uso e fiscalização do Receituário Agronômico no Sistema Confea/Crea
Na manhã desta sexta-feira (28), durante a Sessão Plenária nº 1706, os conselheiros aprovaram a resolução sobre a prescrição...
Sicoob e Embrapa firmam parceria em apoio ao produtor rural
União foi firmada na Dinapec e visa contribuir para maior rentabilidade no setor
O setor agropecuário brasileiro passa por constantes transformações em um cenário global cada vez mais desafiador, influenciado por fatores socioeconômicos, políticos, culturais...
Aenes e Crea-ES promovem mini curso gratuito “ART e Acervo Técnico” em Linhares
Evento em Linhares reúne engenheiros e estudantes para atualização sobre ART e Acervo Técnico
A Associação dos Engenheiros do Norte do Espírito Santo (AENES), em parceria com o CREA-ES, convida profissionais e estudantes das áreas de Engenharia, Agronomia...
























